FORUM

What are we about?  Please read about our Forum Culture and check out the Rules

BUNNY 911 – If your rabbit hasn’t eaten or pooped in 12-24 hours, call a vet immediately!  Don’t have a vet? Check out VET RESOURCES 

The subject of intentional breeding or meat rabbits is prohibited. The answers provided on this board are for general guideline purposes only. The information is not intended to diagnose or treat your pet.  It is your responsibility to assess the information being given and seek professional advice/second opinion from your veterinarian and/or qualified behaviorist.

BINKYBUNNY FORUMS

FORUM BEHAVIOR Update on Aeryn’s leg

Viewing 4 reply threads
  • Author
    Messages

    • ScooterandAnnette
      Participant
      1090 posts Send Private Message

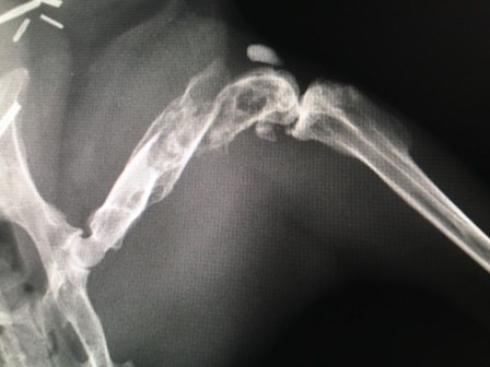
        It’s been 4 weeks since Aeryn broke her leg again, this time in 2 places at the right femur (see attached X-ray).  Up until very recently, she and her cagemate Tegan have been confined to their part of the bunny condo to limit her movements so she can heal.  Aeryn has been acting in a completely normal fashion, and even started hopping back into their litterbox about a week ago. 

        Given that, we have decided to let them come out of their cage as before.  She is hopping and getting about normally.  Her leg may not have healed completely as much as it ever will, but it is clearly holding up, and it’s impossible to immobilize her completely at any rate.  And if you look closely at her when she is sitting, you can tell that her right leg’s angle is just a tiny bit off from the left one.  Given how the leg broke, a fully restored heal was impossible.  And of course they don’t race around anywhere as much as they used given that Aeryn just turned 10 and Tegan is 9.  But if we didn’t have the X-ray, we would be convinced that she was faking the whole thing! 

        Aeryn is still on the metacam for pain relief twice a day indefinitely, and she loves the taste of it and will lick the syringe dry and chin it much to the annoyance of Tegan who can’t have any.

        We don’t know how long Aeryn has, but it is clearly not her time.  Not now, and quite possibly not for some time to come.

         


      • Bam
        Moderator
        17032 posts Send Private Message

          Aeryn is the most remarkable bunny! Talk about fighting spirit!


        • LittlePuffyTail
          Moderator
          18092 posts Send Private Message

            I was wondering when we would get an update. She is just a super little bunny! Wishing her many more happy years.


          • jerseygirl
            Moderator
            22356 posts Send Private Message

              Oh gosh ScooterandAnnette! I missed the post about her breaking her leg again. I agree, she is an incredible girl, the way she has coped. It must be such a relief to you that she wasn’t suffering badly.
              Thanks for sharing the xray.
              {{{Aeryn}}}


            • Azerane
              Moderator
              4691 posts Send Private Message

                It’s just amazing how resilient bunnies can be. So fragile at times, but so resilient at others. So glad she’s healing well.

            Viewing 4 reply threads
            • You must be logged in to reply to this topic.

            FORUM BEHAVIOR Update on Aeryn’s leg