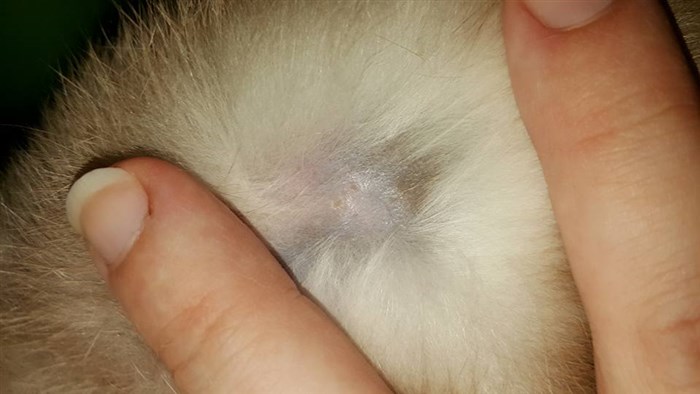
Hi there. I have a 14 week old female Holland Lop named Milly. I just noticed this evening that she has a patch of fur missing on her back. It wasn’t there yesterday, there’s no white dandruff like flakes coming off of it, and there are what looks like a couple peach colored scabs where the skin is showing, but nothing else. We did just recently enlarge her cage (which she is uneasy about and still getting used to) and tonight I was late feeding her her greens, but she had plenty of hay and water. She did seem a bit anxious when I brought her greens into her, though.
I’m wondering if she might have rubbed it on part of the cage door. I left it open but not latched open like I usually do this morning and I don’t know if she might have tried to crawl under it while I was out of the room getting her water. I will try to post pictures from my phone after I post this.
Any insight is helpful!

